Abstract
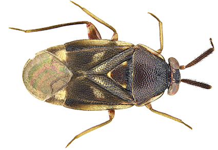
Gigantometopini Herczek, 1993 is a small tribe of jumping tree bugs (Hemiptera, Heteroptera, Miridae, Isometopinae). Of the 16 extant species classified in Gigantometopini, 13 have been described in this century. In this paper, we described three new genera, Malaymetopidea gen. nov., Utarametopus gen. nov., and Wallacemetopus gen. nov. Five new species are described: Malaymetopidea maculata sp. nov. from Malaysia (Malay Peninsula), Planicapitus brunneus sp. nov. from South Thailand (Malay Peninsula), and Utarametopus linuspitti sp. nov., Utarametopus striatus sp. nov., and Wallacemetopus anteriotenebrosus sp. nov. from Indonesia (North Sulawesi). Habitus images and scanning electron micrographs of the selected structures of the new taxa are provided. New localities for Planicapitus luteus Taszakowski, Kim & Herczek, 2020, and Sulawesimetopus henryi Herczek, Gorczyca & Taszakowski, 2018 are recorded. Male genitalia of Malaymetopidea maculata sp. nov., Planicapitus brunneus sp. nov., and Wallacemetopus anteriotenebrosus sp. nov., and a distributional map of all Gigantometopini species are presented.
References
- Akingbohungbe, A.E. (2012) A note on Gigantometopus Schwartz & Schuh (Heteroptera: Miridae: Isometopinae) with description of a new species from Borneo. Entomologica Americana, 118 (1–4), 130–132. https://doi.org/10.1664/12-RA-015.1
- Aukema, B. & Rieger, C. (1995) Catalogue of the Heteroptera of the Palaearctic Region. Vol. 1. Enicocephalomorpha, Dipsocoromorpha, Nepomorpha, Gerromorpha and Leptopodomorpha. The Netherlands Entomological Society, Wageningen, 222 pp.
- Casson, D.S. & Hodkinson, I.D. (1991) The Hemiptera (Insecta) communities of tropical rain forest in Sulawesi. Zoological Journal of the Linnean Society, 102 (3), 253–275. https://doi.org/10.1111/j.1096-3642.1991.tb00002.x
- Distant, W.L. (1904) The Fauna of British India, Including Ceylon and Burma. Rhynchota. Vol. II. Part 2. Taylor & Francis, London, 261 pp.
- Fieber, F.X. (1860) Exegesen in Hemiptera. Wiener entomologische Monatschrift, 4, 257–272.
- Gorczyca, J., Taszakowski, A.T., Wolski, A. & Chérot, F. (2022) The genus Trynocoris Herring, 1976 (Heteroptera: Miridae: Cylapinae) is no longer monotypic: T. costaricaensis sp. nov. from Guanacaste, north-western Costa Rica. Bonn Zoological Bulletin, 71 (1), 69–76. https://doi.org/10.20363/BZB-2022.71.1
- Hahn, C.W. (1833) n.k. In: Die wanzenartigen Insecten. Vol. 1. C. H. Zeh, Nurnberg, pp. 119–236. https://www.biodiversitylibrary.org/item/44009#page/199
- Heppner, J.B. (1992) Sulawesi (Minahasa) Lepidoptera and Project Wallace, 1985. Tropical Lepidoptera Research, 3 (1), 13–22.
- Herczek, A. (1993) Systematic position of Isometopinae Fieb. (Miridae, Heteroptera) and their intrarelationships. Prace Naukowe Uniwersytetu Śląskiego, Katowice, 86 pp.
- Herczek, A., Gorczyca, J. & Taszakowski, A. (2018) Sulawesimetopus henryi, a new genus and species of Isometopinae (Hemiptera, Heteroptera, Miridae) from Sulawesi. In: Wheeler Jr, A.G. (Ed.), A Festschrift Recognizing Thomas J. Henry for a Lifetime of Contributions to Heteropteran Systematics. ZooKeys, 796, pp. 147–161. https://doi.org/10.3897/zookeys.796.21273
- Kawamura, A., Chang, C.H. & Kawamura, Y. (2016) Middle Pleistocene to Holocene mammal faunas of the Ryukyu Islands and Taiwan: An updated review incorporating results of recent research. Quaternary International, 397, 117–135. https://doi.org/10.1016/j.quaint.2015.06.044
- Kim, J., Taszakowski, A.T., Zmarzły, M.A., Herczek, A. & Jung, S. (2023) New species of mirid insects and their importance for the higher classification of plant bugs. Acta Palaeontologica Polonica, 68 (1), 75–83. https://doi.org/10.4202/app.00991.2022
- Kim, J., Taszakowski, A., Herczek, A. & Jung, S. (2021) Gigantometopus coronobtectus sp. nov., the first Isometopine (Hemiptera: Cimicomorpha: Miridae) from Vietnam. Zootaxa, 4990 (1), 104–116. https://doi.org/10.11646/zootaxa.4990.1.6
- Kim, J., Taszakowski, A., Herczek, A. & Jung, S. (2025) Systematic study of the subfamily Isometopinae (Hemiptera: Miridae) with insights from fossil taxa. Zoologica Scripta, 54, 897–912. https://doi.org/10.1111/zsc.70010
- Komaki, S. (2021) Widespread misperception about a major East Asian biogeographic boundary exposed through bibliographic survey and biogeographic meta‐analysis. Journal of Biogeography, 48 (9), 2375–2386. https://doi.org/10.1111/jbi.14210
- Konstantinov, F.V. (2003) Male genitalia in Miridae (Heteroptera) and their significance for suprageneric classification of the family. Part 1: general review, Isometopinae and Psallopinae. Belgian Journal of Entomology, 5, 3–36.
- Lin, C.S. (2004) Seven new species of Isometopinae (Hemiptera: Miridae) from Taiwan. Formosan Entomologist, 24, 317–326.
- Lin, C.S. (2005) New or little-known Isometopinae from Taiwan (Hemiptera: Miridae). Formosan Entomologist, 25, 195–201.
- Miyamoto, S., Yasunaga, T. & Hayashi, M. (1996) Description of a new isometopine plant bug, Isometopidea gryllocephala, found on Ishigaki Island, Japan (Insecta, Heteroptera, Miridae). Species Diversity, 1 (2), 107–110. https://doi.org/10.12782/specdiv.1.107
- Namyatova, A.A. & Tyts, V.D. (2025) Total-evidence phylogeny of the subfamily Cylapinae and the divergence dates for its subgroupings (Insecta: Heteroptera: Miridae). Zoological Journal of the Linnean Society, 203 (1), zlae008. https://doi.org/10.1093/zoolinnean/zlae008
- Namyatova, A.A. & Cassis, G. (2019a) First record of the subfamily Psallopinae (Heteroptera: Miridae) from Australia and discussion on its systematic position and diagnostic characters. Austral Entomology, 58 (1), 156–170. https://doi.org/10.1111/aen.12350
- Popov, Y.A. & Herczek, A. (1992) The first Isometopinae from Baltic Amber (Insecta: Heteroptera, Miridae). Mitteilungen aus dem Geologisch-Paläontologischen Institut der Universität Hamburg, 73, 241–258.
- Poppius, B. (1913) Zur Kenntnis der Miriden, Isometopiden, Anthocoriden, Nabiden und Schizopteriden Ceylon’s. Entomologisk Tidskrift, 34, 239–260. https://doi.org/10.5962/bhl.part.1634
- Rueda, M., Rodríguez, M.Á. & Hawkins, B.A. (2013) Identifying global zoogeographical regions: lessons from Wallace. Journal of Biogeography, 40 (12), 2215–2225. https://doi.org/10.1111/jbi.12214
- SAGA Development Team (2025) System for Automated Geoscientific Analyses (SAGA). Version 7.1.1. Institute of Geography at the University of Hamburg, Germany. Available from: http://www.saga-gis.org (accessed 3 November 2025)
- Schuh, R.T. (1975) The structure, distribution, and taxonomic importance of trichobothria in the Miridae (Hemiptera). American Museum Novitates, 2585, 1–26.
- Schuh, R.T. & S̆tys, P. (1991) Phylogenetic analysis of cimicomorphan family relationships (Heteroptera). Journal of the New York Entomological Society, 99, 298–350. [https://www.jstor.org/stable/25009911]
- Schuh, R.T. & Weirauch, C. (2020) True bugs of the world (Hemiptera: Heteroptera): classification and natural history. 2nd Edition. Siri Scientific Press, Manchester, 767 pp.
- Schwartz, M.D. & Schuh, R.T. (1990) The world’s largest isometopine, Gigantometopus rossi, new genus and new species (Heteroptera: Miridae). Journal of the New York Entomological Society, 98 (1), 9–13.
- Seyfullah, L.J., Szwedo, J., Schmidt, A.R. & Prestianni, C. (2024) Chemical and palaeoentomological evidence of a relationship between early Eocene Belgian and Oise (France) ambers. Scientific Reports, 14 (1), 13705. https://doi.org/10.1038/s41598-024-64286-z
- Taszakowski, A. & Marchlewicz, A. (2025) SEM manual rotary holder enhancing sample stability equipped with entomological pin adapter. Ultramicroscopy, 276, 114193. https://doi.org/10.1016/j.ultramic.2025.114193
- Taszakowski, A., Kim, J., Bugaj-Nawrocka, A. & Jung, S. (2023) Thirty years of progress in research on jumping tree bugs and the World checklist of Isometopinae (Hemiptera: Heteroptera: Miridae). Zootaxa, 5382 (1), 179–196. https://doi.org/10.11646/zootaxa.5382.1.19
- Taszakowski, A., Kim, J., Damken, C., Wahab, R.A., Herczek, A. & Jung, S. (2020) Two new genera and species of the Gigantometopini (Hemiptera, Heteroptera, Miridae, Isometopinae) from Borneo with remarks on the distribution of the tribe. ZooKeys, 941, 71–89. https://doi.org/10.3897/zookeys.941.47432
- Taszakowski, A., Kim, J., Damken, C., Wahab, R.A., Herczek, A. & Jung, S. (2021) A remarkable new genus and two new species of the Gigantometopini (Hemiptera, Heteroptera, Miridae, Isometopinae) from Brunei. Zootaxa, 4970 (1), 171–181. https://doi.org/10.11646/zootaxa.4970.1.9
- Taszakowski, A., Kim, J., Kaszyca-Taszakowska, N., Gierlasiński, G. & Jung, S. (2025) Taxonomic review of the genus Psallops Usinger, 1946 (Hemiptera: Miridae) from the Afrotropical Region, with descriptions of two new species and a discussion on the internal revision of Psallops. Zootaxa, 5646 (4), 545–561. https://doi.org/10.11646/zootaxa.5646.4.4
- Taszakowski, A., Kim, J., Masłowski, A., Herczek, A. & Jung, S. (2022) Kohnometopus yasunagai sp. nov., (Hemiptera, Heteroptera, Miridae, Isometopinae) from Peninsular Malaysia. Zootaxa, 5141 (2), 183–191. https://doi.org/10.11646/zootaxa.5141.2.6
- Ueda, K., Belmonte, J., Shepard, A., Leary, P. & Loarie, S. (2015) iNaturalist. Available from: https://www.inaturalist.org/ (accessed 14 April 2025)
- Weirauch, C., Schuh, R.T., Cassis, G. & Wheeler, W.C. (2019) Revisiting habitat and lifestyle transitions in Heteroptera (Insecta: Hemiptera): insights from a combined morphological and molecular phylogeny. Cladistics, 35 (1), 67–105. https://doi.org/10.1111/cla.12233
- Yasunaga, T. (2005) Isometopine plant bugs (Heteroptera: Miridae), preferably inhabiting Fraxinus griffithii on Ishigaki Island of the Ryukyus, Japan. Tijdschrift voor Entomologie, 148 (2), 341–349. https://doi.org/10.1163/22119434-900000179
- Yasunaga, T., Yamada, K. & Tsai, J.F. (2017) Taxonomic review of the plant bug subfamily Isometopinae for Taiwan and Japanese Southwest Islands, with descriptions of new taxa (Hemiptera: Heteroptera: Miridae: Isometopinae). Zootaxa, 4365 (4), 421–439. https://doi.org/10.11646/zootaxa.4365.4.3
- Yeshwanth, H.M., Chérot, F. & Henry, T.J. (2021) The Isometopinae (Hemiptera: Heteroptera: Miridae) of India and Sri Lanka: A review of the subfamily, with descriptions of six new species. Zootaxa, 4903 (2), 151–193. https://doi.org/10.11646/zootaxa.4903.2.1
