Edmund Jarzembowski at 70: An appreciation
A peculiar new genus of Scytinopteridae (Hemiptera, Cicadomorpha) from the Permian-Triassic boundary beds of Mongolia
Debris-carrying psocodean nymph from Lebanese amber
Cretoneuronema gen. nov. (Neuroptera: Hemerobiidae), a new brown lacewing genus from the mid-Cretaceous Kachin amber
An enigmatic Tettigoniidea from the Lower Cretaceous amber of Bqaatouta, Lebanon (Orthoptera, Ensifera)
The second species of Rudiaeschna (Odonata, Rudiaeschnidae) discovered in the Lower Cretaceous of Inner Mongolia, Northeast China
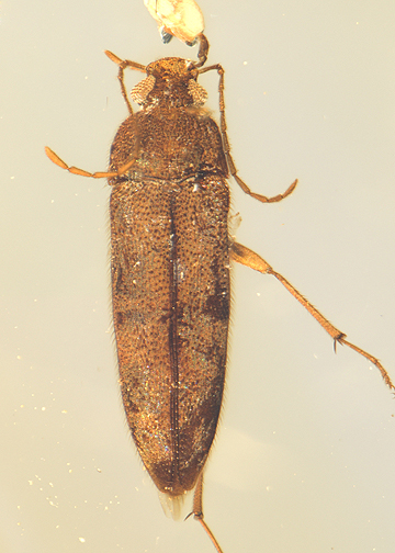
Homalenchodes, a new genus of Serropalpini from mid-Cretaceous amber of northern Myanmar (Coleoptera: Tenebrionoidea: Melandryidae)
Revision of Archizelmira Rohdendorf, 1962 (Diptera, Archizelmiridae)
Paleopsychoda jarzembowskii, a new Lower Cretaceous species of moth flies from Lebanese amber (Diptera: Psychodidae: Psychodinae)
The oldest crown representative of the family Aulacidae (Hymenoptera: Evanioidea) from the Paleocene of Menat (France)
Another strange holometabolan larva from Kachin amber—the enigma of the beak larva (Neuropteriformia)
A new caddisfly of the family Baissoferidae (Insecta: Trichoptera) from the Lower Cretaceous of Mongolia
The oldest fossil of the sawfly subfamily Nematinae (Hymenoptera: Tenthredinidae) from the Paleocene of Menat (France)