Skip to main content
Skip to main navigation menu
Skip to site footer
Register
Login
Home
Current
Articles
Archives
About the Journal
Editorial Team
Submissions
Subscriptions
Search
Order Open Access
Store
Vol. 3 No. 2: 30 Apr. 2026
Published:
2026-04-30
DOI:
https://doi.org/10.11646/jihs.3.2
Article
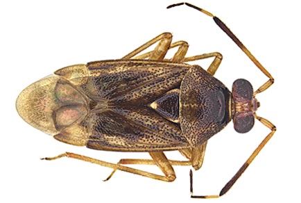
Redescription of
Deraeocoris insulicola
Poppius, 1915 (Hemiptera, Heteroptera, Miridae)
GRZEGORZ GIERLASIŃSKI, PIOTR WIERZBANOWSKI, ARTUR TASZAKOWSKI
Published:
2026-04-30
DOI:
10.11646/jihs.3.2.1
Page range:
119-128
Abstract views:
122
PDF downloaded:
7
Requires Subscription or Fee
PDF(19.87MB)
Lost in Transition: Is
Ptilocnemus larrakia
sp. nov. (Hemiptera: Reduviidae: Holoptilinae) a Missing Link Between Indomalayan and Australasian Feather-Legged Assassin Bugs?
DANIEL J. BARDEY, CHRISTIANE WEIRAUCH, SAAD ARIF, MATTHEW W. BULBERT
Published:
2026-04-30
DOI:
10.11646/jihs.3.2.2
Page range:
129-149
Abstract views:
531
PDF downloaded:
16
Requires Subscription or Fee
PDF(21.63MB)
A New Species of
Bagriella
McAtee and Malloch from South America (Hemiptera, Reduviidae, Emesinae)
HÉLCIO R. GIL-SANTANA, JOCIEL KLLEYTON S. SANTANA, ANDRÉ LUIZ RODRIGUES MENEZES, MARIANE ALBUQUERQUE LIMA RIBEIRO, RAYLLA VICTÓRIA NEVES DE SOUZA, JOÃO ARISTEU DA ROSA, JADER OLIVEIRA
Published:
2026-04-30
DOI:
10.11646/jihs.3.2.3
Page range:
150-161
Abstract views:
140
PDF downloaded:
8
Requires Subscription or Fee
PDF(20.50MB)
Redescription of the Bronze Bug
Wechina chinai
Drake and Slater (Hemiptera: Heteroptera: Thaumastocoridae) from South India
H. M. YESHWANTH
Published:
2026-04-30
DOI:
10.11646/jihs.3.2.4
Page range:
162-169
Abstract views:
94
PDF downloaded:
4
Requires Subscription or Fee
PDF(21.46MB)
Catalog of the Thaumastocoridae (Hemiptera: Heteroptera: Cimicomorpha: Miroidea) of the World
THOMAS J. HENRY, GERASIMOS CASSIS, PABLO M. DELLAPÉ
Published:
2026-04-30
DOI:
10.11646/jihs.3.2.5
Page range:
170-198
Abstract views:
177
PDF downloaded:
10
Requires Subscription or Fee
PDF(2.64MB)
Remarkable Parasitism of
Spartocera granulata
Stål, 1870 (Hemiptera: Coreidae) by
Hexacladia hilaris
Burks, 1972 (Hymenoptera: Encyrtidae): a New Host Record from Costa Rica and an Updated Checklist of Encyrtid Parasitoids of Coreidae Worldwide
ANDREY J. PERAZA-SÁNCHEZ
Published:
2026-04-30
DOI:
10.11646/jihs.3.2.6
Page range:
199-211
Abstract views:
150
PDF downloaded:
5
Requires Subscription or Fee
PDF(13.55MB)
Requires Subscription or Fee
Supplementary file 1 (MP4)
Requires Subscription or Fee
Supplementary file 2 (MP4)
A Check List of
Arhaphe
Herrich-Schäffer (Hemiptera: Heteroptera: Largidae) with Descriptions of Two New Species from Mexico
HARRY BRAILOVSKY
Published:
2026-04-30
DOI:
10.11646/jihs.3.2.7
Page range:
212-218
Abstract views:
122
PDF downloaded:
6
Requires Subscription or Fee
PDF(3.46MB)
Closing a Half-Century Gap: The Discovery of the Male and Notes on Nymphal Morphology of
Tetragonotum megacephalum
Ruckes (Hemiptera: Pentatomidae: Discocephalinae: Discocephalini)
KIM RIBEIRO BARÃO, LUCAS CAVALCANTI BRITO, RENAN CARRENHO, CRISTIANO FELDENS SCHWERTNER, BRUNO ROCHA GIOZZA, JOCELIA GRAZIA, LUIZ ALEXANDRE CAMPOS
Published:
2026-04-30
DOI:
10.11646/jihs.3.2.8
Page range:
219-227
Abstract views:
95
PDF downloaded:
6
Requires Subscription or Fee
PDF(8.36MB)