Abstract
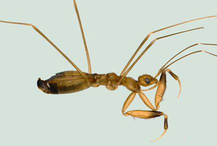
A relatively poorly known emesine bug, Guithera feana (Distant, 1903), was recently discovered in Karnataka, India. The original description of this species is based on a macropterous specimen collected from Burma (=Myanmar) and subsequently macropterous specimens were also collected from Siam (=Thailand) and from South India. This study presents the first illustrated description of an apterous male collected from Karnataka State, India.
References
- Ambrose, D. P. 2006. A checklist of Indian assassin bugs (Insecta: Heteroptera: Reduviidae) with taxonomic status, distribution and diagnostic morphological characteristics. Zoos’ Print Journal 21(9): 2388–2406. https://doi.org/10.11609/JoTT.ZPJ.871.2388-406
- Berg, C. 1884. Addenda et emendanda ad Hemiptera Argentina. Anales de la Sociedad Científica Argentina 17: 97–118.
- Bergroth, E. 1903 Novum genus Ploeariinarum. Revue d’Entomologie 22: 12–13.
- Breddin, G. 1909. Rhynchoten von Ceylon, gesammelt von Dr. Walter Horn. Annales de la Société Entomologique de Belgique 53: 250–309. https://doi.org/10.5962/bhl.part.21874
- Castro-Huertas, V., D. Forero, and J. Grazia. 2020. Evolution of wing polymorphism and genital asymmetry in the thread-legged bugs of the tribe Metapterini Stål (Hemiptera, Reduviidae, Emesinae) based on morphological characters. Systematic Entomology 46(1): 28–43. https://doi.org/10.1111/syen.12445
- Chen, Z., H. Li, and W. Cai. 2021. Proguithera caspersi, a new cavernicolous thread-legged bug species (Hemiptera:Heteroptera: Reduviidae: Emesinae) from Hainan, China. Zootaxa 4963(2): 354–364. https://doi.org/10.11646/zootaxa.4963.2.6
- Chen, Z., H. Li and W. Cai. 2025. A review on the nomenclature and taxonomy of the Old World thread-legged bug genus Pleias (Hemiptera: Reduviidae: Emesinae). Insects 16 (1), 70. 44 pp. https://doi.org/10.3390/insects16010070
- Dispons, P. 1970. Essai sur la classification des Emesinae à l’état imaginal et à l’état larvaire (Hemiptera, Heteroptera, Reduviidae). Annales de la Société Entomologique de France (N.S.) 6: 215–232. https://doi.org/10.1080/21686351.1970.12278086
- Distant, W. L. 1903a. Undescribed Oriental Rhynchota. Entomologist 36: 1–2.
- Distant, W. L. 1903b. The Fauna of British India, Including Ceylon and Burma. Rhynchota. Vol. II. (Heteroptera). Part I. Taylor and Francis, London. 242 pp.
- Distant, W. L. 1906. Oriental Reduviidae. Annals and Magazine of Natural History 7(18): 363–371. https://doi.org/10.1080/00222930608562629
- Distant, W. L. 1910. The Fauna of British India, Including Ceylon and Burma. Rhynchota. Vol. V. (Heteroptera: Appendix). Taylor and Francis, London. 362 pp
- Dohrn, A. F. 1860. Beiträge zu einer monographischen Bearbeitung der Familie der Emesina. Linnaea Entomologica 14: 206–255.
- Ghate, H. V., S. S. Boyane, and N. U. Joshi. 2019. Description of a new species of the genus Bagauda (Heteroptera: Reduviidae: Emesinae) from Maharashtra State, India. Zootaxa 4652(3): 591–600. https://doi.org/10.11646/zootaxa.4652.3.14
- Hiremath, S. R., S. Saikia, and H. V. Ghate. 2022. Authentic report of the emesine bug Gardena melinarthrum Dohrn, 1860 (Hemiptera: Heteroptera: Reduviidae) from India. Journal of Threatened Taxa 14(6): 21296–21301. https://doi.org/10.11609/jott.7902.14.6.21296-21301
- Ismavel, V. A. and H. V. Ghate 2024. First report of Lutevula hortensia (Distant) (Heteroptera: Reduviidae: Emesinae) from India. Journal of Threatened Taxa 16(5): 25220–25226. https://doi.org/10.11609/jott.8931.16.5.25220-25226
- Kirkaldy, G. W. 1901. Six new Reduviidae from Sumatra. Notes from Leyden Museum 23: 53–57.
- Maldonado-Capriles, J. 1990. Systematic Catalogue of the Reduviidae of the World (Insecta: Heteroptera). Caribbean Journal of Science (Special Edition), Mayagüez. x + 694 pp.
- Mukherjee, P., K. Chandra, and M. E. Hassan. 2020. Catalogue of Reduviidae (Hemiptera) of India. Records of the Zoological Survey of India, Occasional Paper no. 401. 240 pp.
- Putshkov, P. V. 1984. Novye chisnyecy iuga SSSR (Heteroptera, Reduviidae). [New assassin bugs from the southern USSR (Heteroptera, Reduviidae).] – Vestnik Zoologii 1984(1): 14–19.
- Rédei, D. 2004. Emesinae from Afghanistan (Heteroptera: Reduviidae). Acta Zoologica Academiae Scientiarum Hungaricae 50: 307–317.
- Rédei, D. 2005. New and little-known thread-legged assassin bugs from Central and South Asia (Heteroptera, Reduviidae: Emesinae). Folia Entomologica Hungarica 66: 23–33.
- Rédei, D. 2007. New and little-known thread-legged assassin bugs from Australia and New Guinea (Heteroptera: Reduviidae: Emesinae). Acta Zoologica Academiae Scientiarum Hungaricae 53(4): 363–379.
- Scopoli, I. A. 1786. Deliciae faunae et florae insubricae, seu novae aut minus cognitae species plantarum et animalium quas in Insubria austriaca tum spontaneas, quum exoticas vidit descripsit et aeri incindi curavit. Part 1(1786): ix + 85. Salvator, Ticini.
- Standring, S., D. Forero, and C. Weirauch. 2023. Untangling the assassin’s web: Phylogeny and classification of the spider-associated emesine complex (Hemiptera: Reduviidae). Systematic Entomology 49: 1–14. https://doi.org/10.1111/syen.12603
- Villiers, A. 1970. Emesinae des grottes de Ceylan (Hem. Heter. Reduviidae). Revue Suisse de Zoologie 77: 321–325. http://doi.org/10.5962/bhl.part.75899
- Wygodzinsky, P. W. 1966. A monograph of the Emesinae (Reduviidae, Hemiptera). Bulletin of the American Museum of Natural History 133: 1–614.
- Zhang, C-X., J. A. Brisson, and H-J. Xu. 2019. Molecular mechanisms of wing polymorphism in insects. Annual Review of Entomology 64: 297–314. https://doi.org/10.1146/annurev-ento-011118-112448
